إعصار باتريسيا
إعصار باتريسيا أو باتريشيا (بالإنجليزية: Hurricane Patricia) هو الإعصار الاستوائي الأقوى والأشد والذي لم يسجل على الإطلاق في نصف الأرض الغربي من حيث الضغط الجوي، والأقوى في العالم من حيث سرعة الرياح القصوى الثابثة، والتي تم قياسها بشكل موثوق.[3][4] وقد تكون الإعصار عبر اضطراب مداري قرب خليج تهوانتيبيك في ولاية واهاكا (المكسيك) في منتصف أكتوبر 2015، ولكن لم يصبح الإعصار باتريسيا في مرحلة المنخفض الاستوائي إلا في 20 أكتوبر حيث كان نموه بطيئاً في البداية. أصبح نظامه بعد ذلك عاصفة استوائية، الرابعة والعشرون في موسم الأعاصير في المحيط الهادئ 2015. لكن، الظروف البيئية المواتية للغاية، غذت تكثيف ناسف للإعصار في 22 أكتوبر. وبدت عين الإعصار واضحة المعالم في وسط كثيف ومكثف للغاية، وانتقلت باتريسيا من عاصفة استوائية إلى إعصار من الدرجة الخامسة في 24 ساعة فقط. معدل التكثيف كان الأكبر من أي إعصار آخر في المحيط الهادئ منذ بداية التسجيل عبر الصور الفضائية في 1960، باستثناء إعصار ليندا في 1997 الذي تكثف بنفس القدر. ضرب الإعصار الساحل الغربي للمكسيك في الساعة 23:15 UTC (أو 18:15 بالتوقيت المحلي) في 23 أكتوبر في كويكسمالا (ولاية خاليسكو)، قرب وشمال ثاني أكبر مدينة في البلاد مانزانيلو، وتم تسجيل سرعة رياح بقدر 266 كم في الساعة.
سبق إعصار باتريسيا أمطار غزيرة في أمريكا الوسطى. وقد تأثر عدة مئات من الآلاف من السكان بشكل مباشر جراء العاصفة، أساسا في غواتيمالا. على الأقل 6 وفايات نتجت عن العاصفة: 4 في السلفادور، واحد في غواتيمالا وواحد في نيكاراغوا، وذلك قبل أن تصبح العاصفة إعصارا.
| ||||
|---|---|---|---|---|
| المعلومات | ||||
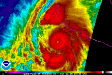
![]() باتريسيا في 23 أكتوبر 2015 على الساعة 17:30 UTC | ||||
| البلد | ||||
| تكون | 20 أكتوبر 2015 | |||
| تلاشى | 24 أكتوبر 2015 | |||
| الموسم | موسم الأعاصير في المحيط الهادئ 2015 | |||
| الفئة | إعصار الدرجة الخامسة | |||
| أدنى ضغط جوي | 879 hPa | |||
| سرعة الرياح القصوى | 325 كم/ساعة | |||
| المناطق المتأثرة | أمريكا الوسطى المكسيك | |||
| إحداثيات | 20°12′N 104°36′W | |||
| الخسائر | ||||
| الخسائر البشرية | 8 [1][2]وفيات ومصابين | |||
|
8 قتلى بطريقة مباشرة، و5 غير مباشرة. | |||
| الخسائر المادية | 283.2 مليون دولار أمريكي (2015) | |||
![]() مسار باتريسيا | ||||

تطورات الطقس

في 14 أكتوبر 2015، بدأ المركز الوطني للأعاصير (NHC) بمراقبة إمكانية تكون إعصار استوائي فوق شرق المحيط الهادئ، قرب خليج تهوانتيبيك. في 17 أكتوبر، مساحة واسعة من زخات المطر والعواصف الرعدية، التي تغطي المئات من الكيلومترات في أمريكا الوسطى ومياه المحيط الهادئ المجاورة بدأ بالظهور. كانت الظروف مواتية، وعدت رياح لها شكل دائري تكونت في المكان. هذا النظام تفاعل أيضا مع الرياح القوية القادمة من ممر برزخ تهوانتيبيك في 18 أكتوبر، وهذا ما أخر مؤقتا تطور الإعصار. بتوجهه غرب الجنوب الغربي مع رياح بلغت قمتها في خليج المكسيك، بدأت الاضطرابات في الرياح بالتوحد والتجمع في الساعة 15:00 UTC، تم تصنيف هذا النظام كمنخفض استوائي Vingt-E حوالي 715 كم شرق الجنوب الشرقي لمدينة أكابولكو في المكسيك.
الظروف المناخية الاستثنائية المواتية (قص الريح، درجة حرارة السطح، نسبة الرطوبة المرتفعة ل30 درجة مئوية وأكثر) سمحوا لنواة داخلية صغيرة بالتشكل والنمو حتى تكون عاصفة استوائية في الساعة 3:00 UTC في 21 أكتوبر.
لأسباب مجهولة، تدهور النظام بشكل كبير في وقت لاحق من ذلك اليوم ووشريط الأمطار فيه أصبح غير منظم. هذه الفترة كانت قصيرة لأن الحمل الحراري استأنف في 21 أكتوبر، مع تكون غطاء سحابي في الجزء المركزي للعاصفة. عين الإعصار بدأت بالظهور منذ بداية يوم 22 أكتوبر. النظام وصل حد قوة الإعصار في قرابة الساعة 9:00 UTC وبدأ التكثف والاستقواء سريعا. طائرة تابعة لصيادي الأعاصير أكدت أن باتريسيا قد بلغت الدرجة 4 على مقياس سفير-سمبسون على الساعة 18:00 UTC.
أثناء أولى ساعات يوم 23 أكتوبر، حلقة صلبة من قمم السحاب ب90 درجة مئوية تحت الصفر أحاطت بعين الإعصار باتريسيا الذي بلغ الدرجة 5 على مقياس مقياس سفير-سمبسون. بالاعتماد على تحاليل الأقمار الاصطناعية، باتريسيا قام باكتساب سرعة رياح قصوى مستمرة تقدر ب260 كم في الساعة، وضغط مركزي يقدر ب924 hPa. في مدة 24 ساعة، ازدادت قوة رياح باتريسيا ب155 كم في الساعة، وهو معدل أهم تكثيف إعصار في المحيط الهادئ منذ بداية العمل بأقمار الأرصاد الجوية في 1960 وذلك باستثناء إعصار ليندا في 1997 الذي وصل لنفس الحد.
في الساعة 5:30 UTC من يوم 23 أكتوبر، قامت طائرة استطلاع بقياس سرعة الرياح وقدرتها ب332 كم في الساعة وعلى ارتفاع منخفض، وهو ما يعطي سرعة تقدر ب295 كم في الساعة على سطح البحر، وكذلك الضغط على السطح بلغ 892 hPa. هذه المعطيات صنفت باتريسيا كأقوى إعصار على الإطلاق لم يسجل من قبل في شمال شرق المحيط الهادئ فيما يخص الضغط، بينما بالنسبة للرياح في بالتساوي مع إعصار ليندا. واصل الإعصار باتريسيا بالتكثف والازدياد حدة وشدة، وطائرة استطلاع أخرى كشفت أن هذا الإعصار هو الأقوى في نصف الأرض الغربي (وسط وشرق المحيط الهادئ وشمال المحيط الأطلسي)، برياح قصوى قدرت ب325 كم في الساعة، وضغط ب879 hPa. الرقم القياسي السابق كان في المحيط الأطلسي مع إعصار ويلما في 2005. بالإضافة إلى ذلك، هي الرياح القصوى المستمرة الأعلى التي لم يتم رصدها قبل ذلك الإطلاق والمقدرة بطريقة موثوقة على الصعيد الدولي لإعصار استوائي، متجاوزة إعصار هايان في 2013 (حتى وإن كانت الرياح في إعصار هايان قد تم تقديرها فقط عبر ملاحظات الأقمار الاصطناعية، الذي يعطي إمكانية معدل خطأ أكبر بكثير).
ضرب الإعصار الساحل الغربي للمكسيك في 23 أكتوبر على الساعة 23:15 UTC (أو الساعة 18:15 بالتوقيت المحلي) تحديدا في كويكسمالا، وذلك على بعد 85 كم غرب الشمال الغربي لثاني أكبر مدينة في البلاد مانزانيلو. رياح بسرعة 266 كم/س سجلت على الأرض في المنطقة التي وصلها الإعصار. محطة أرصاد جوية آلية تابعة لخدمة الأرصاد الجوية الوطنية (الولايات المتحدة) في محمية الغلاف الحيوي لشاميلا كويكسمالا قالت أنه في ارتفاع 90 متر يوجد رياح مستمرة بسرعة 298 كم في الساعة مع هبوب رياح بسرعة 240 كم في الساعة، ولكن هذه البيانات لم تتم مماثلتها مع نظراء آخرين.
توجه الإعصار باتريسيا بعد ذلك إلى الشمال الشرقي، بسبب الاحتكاك مع التضاريس الجبلية، وقوته تناقصت بسرعة. على الساعة 12:00 UTC (أو الساعة 7:00 بالتوقيت المحلي) في 23 أكتوبر، ضعف الإعصار باتريسيا وأصبح بدرجة عاصفة استوائية، 55 كم شمال شرق مدينة زاكاتيكاس ورياحه القصوى المستمرة أصبحت في حدود 80 كم في الساعة فقط. فيا لساعة 15:00 UTC، لم يعد النظام سوى منخفض استوائي. خلال 12 ساعة التالية، لم يصبح باتريسيا سوى أخدود جوي، امتصه فيما بعد منخفض غير استوائي في جنوب شرق تكساس في الولايات المتحدة، وجالبا معه كميات كبيرة من الأمطار على منطقة الشمال الغربي لخليج المكسيك.
الاستعدادات
تم فتح 1872 ملجأ في 22 أكتوبر بالولايات المكسيكية ميتشواكان وكوليما وخاليسكو وناياريت، وذلك لاستقبال قرابة 000 258 شخص.[5] وقد بدأت سلطات أكبر ثاني مدينة في البلاد مانزانيلو في نفس المساء بتوزيع أكياس من الرمل،[6] وتم وقف الدروس في كل مدارس ولاية خاليسكو من الغد.[7]
وضعت مدينة بويرتو فالارتا نفسها في حالة تأهب استعدادا للرياح العاتية وعرام العواصف.[8][9] كل من مطار بلايا دي أورو الدولي في مانزانيلو ومطار غوستافو دياز أورداز الدولي في بويرتو فالارتا ومطار أمادو نيرفو الدولي في تيبيك أغلقوا في 23 أكتوبر، ولكن السلطات أعلنت في اليوم الموالي إنشاء جسر جوي لإجلاء مسافري المناطق الأكثر تضررا من الإعصار.
التأثير
أمريكا الوسطى
الأمطار الغزيرة التي سبقت الإعصار باتريسيا إنجرت عنها فيضانات وانهيارات أرضية في أمريكا الوسطى.[10] قتل شخص في إقليم ألتا فيراباز، وتم إجلاء حوالي 100 2 في مختلف أرجاء غواتيمالا.[11] ماهو مجموعه 442 منزل و 28,200 هكتار من المحاصيل قد لحقت بها أضرار، إلى جانب حوالي 223,000 شخص قد تأثروا بالفيضانات. ممثلي الحكومة نشروا العديد من فرق الإسعاف، و40 مليون كتزال غواتيمالي (5.4 مليون دولار أمريكي) وضعوا على ذمة عمليات الإنقاذ.[12]
في السلفادور المجاورة، بين 160 و185 مم من الأمطار قد تساقطت، مما تسببت في فيضانات مماثلة. عشرات المنازل قد تأثرت، إضافة إلى وفاة 4 أشخاص.[13] نهر غواسكوران فاض مرتين في يومين، مسببا فيضانات جانبية للسكان المحاذين له. السلطات أجبرت على توقيف النشاطات الدراسية في كل البلاد في 19 أكتوبر.[14]
في نيكاراغوا، انهيار أرضي تسبب في دفن 4 شباب قصر في منطقة بونانزا، واحد منهم توفي بينما الثلاثة البقية تم إنقاذهم.[15]
نهر ألوا في هندوراس فاض على جانبيه لأول مرة منذ 17 سنة، وذلك في 18 أكتوبر، مسببا إجلاء حوالي 200 شخصا.[16]
الفياضانات تسببت في تضرر حوالي 10 منازل في جاكو في كوستاريكا.[17]
المكسيك
مركز العاصفة تجنب مدن الموانئ الساحلية الأكثر كثافة سكانية في مانزانيلو وبويرتو فالارتا، لكن هاتين المدينتين تضررتا من أطراف العاصمة. في ولاية كوليما أين تقع مدينة مانزانيلو، حوالي 350 شجرة وقع اجتثاثها من قبل الاعصار، حسب وزير السياحة خوسيه كالزادا. عدة انهيارات أرضية قطعت الطريق السريعة بين كوليما ومانزانيلو حسب وزير النقل جيراردو رويز إسبارازا.[18]
مقالات ذات صلة
وصلات خارجية
- الأرشيف الاستشاري لإعصار باتريسيا، مركز الأعاصير الوطني.
- أرشيف الرسومات لإعصار باتريسيا، مركز الأعاصير الوطني.
مصادر
- http://www.nhc.noaa.gov/data/tcr/EP202015_Patricia.pdf
- http://www.nhc.noaa.gov/data/tcr/EP202015_Patricia.pdf — تاريخ الاطلاع: 2 يونيو 2016
- (en) إعصار باتريسيا المناقشة رقم 14، المركز الوطني للأعاصير، 23 أكتوبر 2015 نسخة محفوظة 02 سبتمبر 2017 على موقع واي باك مشين.
- (en) إعصار ويلما، تقرير الأعاصير المدارية، المركز الوطني للأعاصير، 23 أكتوبر 2015 نسخة محفوظة 19 مايو 2017 على موقع واي باك مشين.
- (es) سبب إعصار باتريسيا في ثلاث ولايات أمطار سنة، نوتيسيروس تيليفيزا، 22 أكتوبر 2015 نسخة محفوظة 19 نوفمبر 2017 على موقع واي باك مشين. [وصلة مكسورة]
- (es) إعصار باتريسيا من الفئة 4 يقترب من سواحل المكسيك، إل نويفو هيرالد، 22 أكتوبر 2015 [وصلة مكسورة] نسخة محفوظة 24 أكتوبر 2015 على موقع واي باك مشين.
- (es) تفعيل عملية الطوارئ في خاليسكو التي سيقترب منها باتريسيا، مع وقف جميع الدروس، نوتيسيروس تيليفيزا، 22 أكتوبر 2015 نسخة محفوظة 28 أبريل 2016 على موقع واي باك مشين.
- (en) المنخفض الاستوائي الاستشارية العامة لباتريسيا، المركز الوطني للأعاصير، 23 أكتوبر 2015 نسخة محفوظة 19 يناير 2018 على موقع واي باك مشين.
- (en) أضرار إعصار باتريسيا في المكسيك، أسوشيتد برس، 24 أكتوبر 2015 نسخة محفوظة 26 نوفمبر 2015 على موقع واي باك مشين.
- (es) إجلاء 2,100 شخص إلى حد هذا الوقت، سيغلو 21، 22 أكتوبر 2015 نسخة محفوظة 03 مارس 2016 على موقع واي باك مشين.
- (es) أحد القتلى، ضحايا الفيضانات في غواتيمالا، لا تريبونا، 18 أكتوبر 2015 نسخة محفوظة 28 أبريل 2016 على موقع واي باك مشين.
- (es) الفيضانات أثرت على 000 223 شخص في غواتيمالا، إلبريوديكو، 21 أكتوبر 2015 نسخة محفوظة 28 أبريل 2016 على موقع واي باك مشين. [وصلة مكسورة]
- (es) مقتل شخص والفيضانات والأنهار تفيض جراء الأمطار في الشرق، السلفادور.كوم، 17 أكتوبر 2015 نسخة محفوظة 28 أبريل 2016 على موقع واي باك مشين.
- (es) اربعة قتلى والأضرار وتعليق الدراسة بسبب الأمطار، إلسلفادور.كوم، 18 أكتوبر 2015 نسخة محفوظة 28 أبريل 2016 على موقع واي باك مشين.
- (es) الأمطار في المنطقة، ولكن السلطات أبقت التنبيهات، إل هيرالدو، 21 أكتوبر 2015 نسخة محفوظة 31 مارس 2019 على موقع واي باك مشين.
- (es) أكثر من 200 عائلة تم إجلائها من الفيضانات، لا تريبونا، 19 أكتوبر 2015 نسخة محفوظة 28 يناير 2018 على موقع واي باك مشين.
- (es) خسائر فادحة في أحياء جاكو جراء الفيضانات، لا ناسيون، 19 أكتوبر 2015 نسخة محفوظة 29 أغسطس 2017 على موقع واي باك مشين.
- (fr) باتريسيا تصبح عاصفة استوائية، لا براس، 24 أكتوبر 2015 نسخة محفوظة 03 مارس 2016 على موقع واي باك مشين.
- تكساس "تغرق" في مياه الأمطار والسيول،سكاي نيوز عربية، نشر في 24 أكتوبر 2015 نسخة محفوظة 27 أبريل 2020 على موقع واي باك مشين.
- بوابة أمريكا اللاتينية
- بوابة عقد 2010
- بوابة المكسيك
- بوابة غواتيمالا
- بوابة نيكاراغوا
- بوابة السلفادور
- بوابة طقس
- بوابة الأعاصير المدارية

